Truseni, mun. Chisinau



Описание объекта
Тип
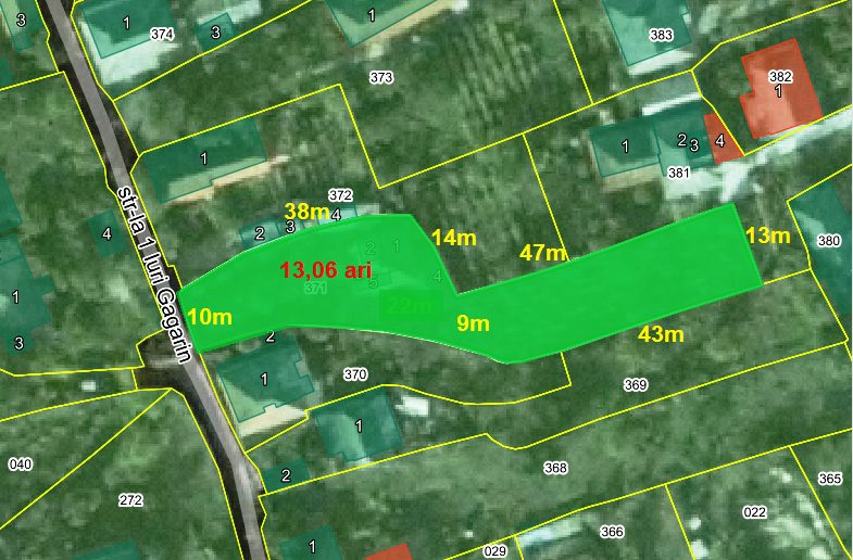
Под строительство
Площадь
13.06 сот.
🏡 Vindem teren pentru construcție cu suprafața totala de 13,06 ari în Truşeni, str-la 1 Iuri Gagarin. Cea mai mare parte a terenului este de formă dreptunghiulară, cu o lățime de la 13 metri, ceea ce extinde posibilitățile de amplasare a clădiri rezidențiale, a bucătărie de vară, a unui garaj și a altor clădiri la o distanță decentă unele de altele pentru o viață confortabilă și privată. 📌 Zona este de multă vreme rezidențială, toate comunicațiile orașului sunt în apropiere: – curent, gaz, apă; – sistemul de canalizare este situat la mai puțin de 100 m de teren; – vizavi se afla o fantana cu apa potabila; – este deja beci; — drum asfaltat la poarta. 📍 Situat la doar 500 m de centrul satului Truşeni cu acces la toată infrastructura necesară: – supermarketuri, magazine de constructii, farmacii; – troleibuz nr 34, autobuz nr 6 spre Chișinău; – Liceul Teoretic Truşeni, gimnaziul «Gh. V. Madan», grădiniţa nr.1, Centrul de Sănătate Truşeni, Centru cultural. 📍 Geografia vecinilor: Vatra, Durleşti, Nimoreni, Scoreni, Cojuşna. 📌 Avantajele cumpărării: ✅ Terenuri din Truşeni sunt în continuă creşterei. ✅ O oportunitate rară de a cumpăra un teren într-o zonă rezidențială, cu intrare gata și infrastructură. ✅ Condiții ideale pentru construirea unei locuințe private cu intimitate și posibilitatea de a conduce o gospodărie. ✅ Aproape de capitală, dar fără zgomot din oraș. ✅ Un teren cu perspectivă este o investiție bună atât pentru locuit, cât și pentru vânzare viitoare.



